Sternberg Museum of Natural History Education Director, David Levering, lead a spring break study abroad trip of seven Fort Hays State University undergraduate students to mainland Ecuador and the Galapagos Islands. The students documented their adventures and explorations during the trip, and these travelogues will be featured here through a series of eight posts (with a finally reflection from David). Enjoy!
Day 5: Snorkeling Trip
Location: Isla San Cristobal, Galapagos Islands
By: Connor Phelan
Today was the day I was dreading this entire trip. We had to take a boat ride from Puerto Ayora, Santa Cruz to the island of San Cristobal that would last around two hours. I had come prepared with motion sickness pills, medicated patches for behind my ears, and wristbands in hopes that I wouldn’t become sick from the open waters. Although these items were supposed to keep me from getting sick, they also came with the unlikely but possible side effects of sleepiness, dehydration, and cottonmouth. I somehow hit the jackpot and woke up with an unquenchable thirst. All I could think about was getting through the next few hours.
![]() |
| Leaving Isla Santa Cruz |
Early that morning we headed out to the boating dock where we experienced security for the seas. This was extremely interesting to me because I never thought that traveling by boat would require us to have our luggage checked. The islands’ one-of-a-kind wildlife needed to be protected. Another interesting thing was to get to the speedboat, we first boarded a water taxi that took us from the dock to another vessel about 40 feet away. The way the driver manipulated the taxi was impressive because there were so many boats in the bay that one bad turn would result in a costly collision.
![]() |
| We passed the National Geographic Endeavour ship |
Once we boarded the speedboat, we were off. At first the boat was fairly still and didn’t move too much, but then we hit open waters and all hell broke loose. People were being smacked around the crowded boat from the waves. You could definitely tell who the tourists were versus the natives because we were not used to being on the water. After an hour or so Jessi, Sammi and Audrey were not doing so well. Surprisingly, I was just fine! My various medications had done their job, and Poseidon granted me with a strong stomach to enjoy the journey. Having been deep sea fishing before, I had previously experienced open ocean. However, I had never been along for a trip of this magnitude. It is a truly humbling experience when you realize just how small you are. After examining the experiences of past explorers such as Darwin, it is almost unfathomable how they could have conquered the oceans without the use of a gas powered engine. We finally reached shore, and we all but sprinted off the boat to find our guide, Tim. He led us to our hotel and informed us that we would have a few hours to rest before heading to lunch.
![]() |
| The view of Isla San Cristobal from the hotel |
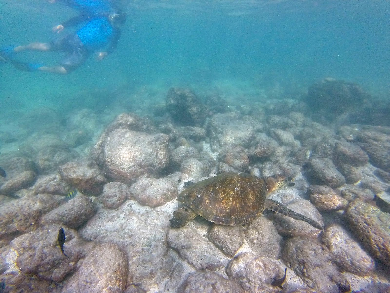
![]() |
| The first sea turtle of the trip. |
After a good two hours of deep sleep, we headed to an outdoor restaurant. Most of our group couldn’t eat due to stomach issues from the boat. I really enjoyed all the different foods on the islands. It seemed fresh and healthier than my usual taco-bell, Wendy’s diet. After lunch we drove a few miles to snorkel at the first beach of the San Cristobal portion of the trip, and the beauty of the ocean and the sand was indescribable. After a long evening at the beach, we headed back to the hotel and washed up for dinner.
![]() |
| Diamond Stingray |
Although today was long, I truly enjoyed snorkeling. The vast and exotic species I had the pleasure of experiencing will not soon fade from my memory. Immediately upon entering the water I observed sea turtles, eagle rays, sting rays, sea urchins, and a plethora of fish that will take time to identify from our photos. Given that we were confined to a small cove, the amount of life one could find in our oceans seems unimaginable. I have always been a fan of wildlife ever since I was little. I had ant farms and a paleontology kit and a general love of nature and wildlife, so I really enjoyed seeing the underwater sea life.
![]() |
| Spinster Wrasse |
To catch up on the adventure, read about Day 1: Exploring Quito, Day 2: Bike Trip, Day 3: Heading to the Islands, and Day 4: Tortuga Bay and Giant Tortoises.





